Hay noches en Cuba que suenan igual: primero, el ventilador se detiene. Después, el silencio se llena de lamentos y chistes forzados. Alguien grita desde el balcón: “¡Otra vez lo mismo!”. Y el eco corre por el barrio como si fuera un himno nacional. Esta vez, la Unión Eléctrica (UNE) le puso nombre técnico al apagón: “desconexión controlada”. Pero cuando la oscuridad se traga las calles y los mosquitos hacen fiesta, lo único controlado es la resignación.
Lo cierto es que la UNE volvió a anunciar apagones para la noche de este martes, y no por sorpresa: malas condiciones meteorológicas, déficit de generación, averías, falta de combustible… el libreto de siempre, repetido tantas veces que ya parece parte del pronóstico del tiempo.
Una noche de cables tensos y promesas flojas
Según el informe oficial, las desconexiones se aplicarán en las zonas donde los vientos superen los 60 km/h —una medida preventiva para “garantizar la seguridad del Sistema Electroenergético Nacional (SEN)”—. En la práctica, eso significa que, en cuanto sople un poco más fuerte, media Cuba se queda sin corriente.
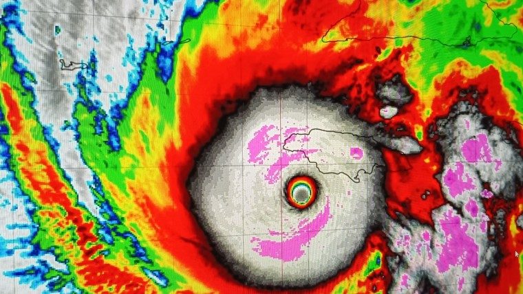
Entre las plantas que se desconectarán están las termoeléctricas “Antonio Maceo” (Renté), “Lidio Ramón Pérez” (Felton) y la Central Fuel de Moa, todas en el oriente del país, precisamente donde el huracán Melissa amenaza con golpear con más fuerza.
La UNE dice que todo será “planificado y controlado”. Pero pregúntale a cualquier cubano qué tan controlada es su noche cuando se va la luz en medio de un aguacero, con los niños llorando, el arroz a medio cocinar y el teléfono descargado. “Controlado está el que tiene planta”, me dijo una vecina en Santiago, mientras alumbraba con un mechón de vela la puerta de su casa. Esa frase resume más de lo que parece.

Ya no hay tiempo para leer por eso ,«AKubaa sin filtro (podcast)» es para ti escucha ahora todas tus noticias mientras continúas haciendo todo.
Las cifras detrás del apagón
Según el parte técnico, el déficit de generación alcanzó los 1776 megawatts (MW) la noche del lunes, con una disponibilidad de solo 1574 MW frente a una demanda que superó los 2600 MW al amanecer. Traducido al lenguaje de la calle: no hay corriente para todos, ni la habrá pronto.
Durante el mediodía de hoy, la afectación prevista es de hasta 1200 MW, lo que equivale a apagones generalizados en casi todo el país. Y aunque la UNE intenta mostrar algo de luz al final del túnel mencionando los 32 parques solares fotovoltaicos que generaron 2069 MWh, esa cifra apenas alcanza para aliviar unas horas del día. Porque el problema no es solo técnico: es estructural, económico y político.
Entre las causas, la empresa reconoce falta de combustible, averías y mantenimientos pendientes, con más de 700 MW fuera de servicio. Traducido al cubano: “no hay petróleo, no hay piezas y no hay milagros.”
El país que vive contando kilowatts
Cada apagón en Cuba es más que una falla eléctrica: es un recordatorio de lo frágil que se ha vuelto la vida cotidiana. La electricidad es la línea que separa la rutina del caos. Cuando falta, todo se detiene: los refrigeradores sudan, los estudiantes estudian a oscuras, los hospitales improvisan, los negocios se hunden.
Una madre en Holguín contaba en redes: “La leche del niño se me echó a perder anoche, y todavía no ha venido la corriente.” Un joven en Camagüey posteó: “El WiFi no va, la comida se me acaba y el mosquitero parece una discoteca.” Y en La Habana, una enfermera resumió con una ironía punzante: “Si los apagones son preventivos, deberían prevenirnos a nosotros del estrés que causan.”
En las calles, se escuchan los mismos murmullos de siempre:
—¿Cuánto durará esta vez?
—Dicen que es por el huracán.
—No, chica, eso viene de antes del viento.
Porque la tormenta meteorológica solo vino a desnudar la tormenta eléctrica que Cuba arrastra hace años.

El doble apagón: el de la luz y el de la verdad
Desde Miami, muchos cubanos siguen el parte con un déjà vu doloroso. “Otra vez la UNE dando excusas mientras el pueblo sufre”, comentaba un usuario en Hialeah. Y es que no se trata solo de la falta de energía, sino de la falta de transparencia. En cada nota oficial hay cifras, pero no hay claridad. Se informa que “el proceso será controlado”, pero no se especifica qué zonas ni por cuánto tiempo.
Y cuando el pueblo pregunta, las respuestas se apagan antes que las bombillas. Mientras tanto, en Tampa, un cubano jubilado dice que cada vez que se va la luz en su país, se le aprieta el pecho: “Allá dejé a mi hermana con asma y a mi sobrino estudiando medicina. Sin corriente, ninguno puede dormir ni estudiar.”
Los apagones ya no son solo una carencia técnica: son una herida emocional que conecta a la isla con su diáspora. Desde Madrid, otro usuario escribió en redes: “Aquí pago la luz más cara de Europa, pero al menos sé que la tengo. En Cuba, ni pagando con el alma la garantizas.”
El sol no alcanza para iluminar el sistema
La UNE intenta mostrarse optimista destacando los parques solares que, según ellos, aportan “2069 MWh de energía limpia”. Pero ni la energía solar escapa al sarcasmo popular: “Eso será mientras no haya nubes”, dice un habanero con su clásico humor. Y es que no hay transición energética posible sin transparencia ni planificación real.
Los expertos advierten que la dependencia casi total de las termoeléctricas obsoletas y la falta de inversión sostenida mantienen a Cuba en una cuerda floja energética. El sistema colapsa por un mantenimiento, una tormenta o una mala importación.
Mientras tanto, el pueblo hace magia: ollas de presión conectadas a extensiones imposibles, refrigeradores rescatados del pasado, paneles solares artesanales, y una fe que ni los cortes de luz logran apagar del todo.

Visita Mundovirtual y descubre más de este mundo tecnológico .
AKubaa lo dice claro: no es solo falta de corriente, es falta de dirección
Desde AKubaa, lo decimos sin miedo: los apagones en Cuba no son casualidad ni castigo divino. Son el resultado directo de un sistema agotado, centralizado y sin renovación. La llamada “desconexión controlada” es una forma elegante de decir que el pueblo se apaga primero que las máquinas. Y aunque se hable de preservar la “integridad del sistema”, lo que se pierde cada noche es la integridad de la vida cotidiana.
Porque no hay estabilidad posible cuando una familia cena a oscuras, cuando un médico sutura con linterna, o cuando un estudiante memoriza de memoria porque no puede cargar su laptop. La gente se cansa de promesas recalentadas y cifras que no alumbran. Y la pregunta que todos se hacen, aunque en voz baja, es la misma: ¿Hasta cuándo vamos a vivir en modo emergencia?
Entre sombras y generadores
En Cuba, el apagón ya es parte del ADN nacional. Pero también lo es la capacidad de reír, resistir y reinventarse.
Mientras algunos improvisan fiestas a la luz del teléfono, otros prenden un fogón y cocinan con los vecinos.
La creatividad cubana brilla donde no llega la electricidad. Y eso, aunque suene romántico, no debería ser motivo de orgullo, sino de alarma. Porque un país que celebra sobrevivir al apagón, es un país al que le han apagado demasiado.
Conclusión: la noche sigue encendida, aunque no haya luz
Cada vez que se va la corriente, miles de cubanos miran el cielo oscuro y piensan en sus familias lejos, donde la luz no se corta, donde los planes no dependen del voltaje. Y sin embargo, ahí siguen, firmes, resistiendo con una mezcla de ironía, esperanza y cansancio.
Tal vez la desconexión controlada no solo apague la electricidad, sino también el deseo de esperar algo distinto. O tal vez, en medio de tanta sombra, empiece a encenderse otra chispa: la de exigir más, la de cuestionar, la de no conformarse. Porque mientras ellos hablan de déficit de generación, el pueblo lo que siente es déficit de dignidad.
Y tú, ¿cómo vives los apagones?.¿Crees que la UNE realmente controla algo… o solo apaga el reflejo de su propia ineficiencia?.

Recibe todas tus noticias actualizadas y más candentes, totalmente gratis ,solo has Clic y Unete a esta comunidad.
Únete a la conversación en www.akubaa.com o en nuestras redes. Esto es AKubaa Sin Filtros: donde lo cubano se cuenta como es —con picante, con corazón y con calle.
Más en AKubaa
- Imaray Ulloa se sube a otra tarima: dos medallas, ocho meses de disciplina y una lección que la diáspora entendió enseguida.
- Horóscopo del 10 de abril de 2026: lo que el universo te quiere decir hoy (y lo que debes evitar a toda costa).
- 🔮 Horóscopo del 9 de abril de 2026: lo que viene no es casualidad… es destino (y tú lo vas a sentir hoy).
- 🔮 Horóscopo del 8 de abril de 2026: lo que el destino no te está diciendo (y deberías escuchar hoy).
- “Viva Cuba Libre”: la canción que no es solo música… es un mensaje que ya no se puede callar.
- 🔮 Horóscopo del 7 de abril de 2026: lo que viene no avisa… pero sí se siente.









